Andrej Sitkey: Blog o doprave - riešenie dopravy po rekonštrukcii Priemyselnej ulice
Andrej Sitkey - blog o doprave
Máte otázky k téme doprava? Píšte na: Táto e-mailová adresa je chránená pred spamovacími robotmi. Na jej zobrazenie potrebujete mať nainštalovaný JavaScript.
(Odpovede na otázky uverejníme každý týždeň spolu s novým článkom.)
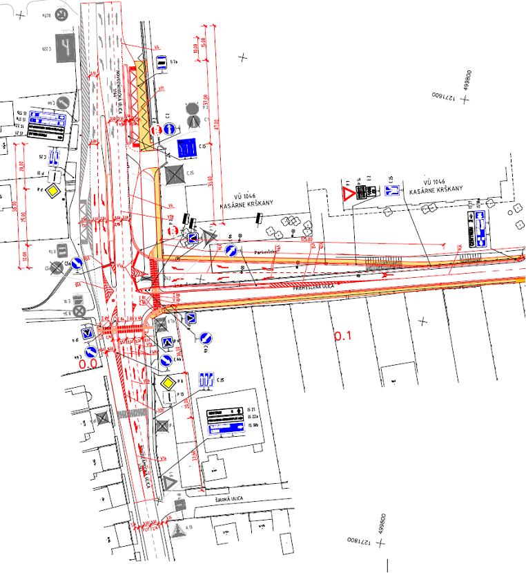
Po ukončení výstavby rýchlostnej cesty R 1 v súčasnosti prebieha rekonštrukcia miestnej komunikácie Priemyselnej v Nitre. Miestna komunikácia je rekonštruovaná v súlade s projektom prepojenia cesty I/64 – ul. Novozámocká s cestou III/05137 – ul. Dlhá. Na Priemyselnej sa zriadia samostatné pruhy pre odbočenie vpravo resp. vľavo a vybuduje sa obojstranný chodník. Okrem rekonštrukcie Priemyselnej sú realizované aj stavebné úpravy na križovatke Novozámocká – Priemyselná. V rámci stavebných úprav bude zrušená časť deliaceho ostrovčeka, čím sa dosiahne predĺženie ľavého odbočenia do Priemyselnej. Okrem uvedeného sa zriadi ochranný ostrovček, ktorý umožní bezpečnejší prechod chodcov a presunie sa autobusová zastávka za križovatku v smere na centrum do priestoru bývalého parkoviska pred kasárňami.
Križovatka Novozámocká – Priemyselná nebude riadená cestnou svetelnou signalizáciou, napriek skutočnosti, že kapacitné posúdenie križovatky potrebu signalizácie preukázalo. Už pri schvaľovaní projektu som však upozorňoval, že v takomto stavebnom usporiadaní je riadenie križovatky signalizáciou nereálne. V prípade použitia signalizácie by boli v súlade s príslušnou STN potrebné výrazné stavebné úpravy, ktorými by sa predĺžili všetky radiace pruhy na Novozámockej (napr. ľavému odbočeniu chýba 27 m, v smere od NZ je potrebný druhý pruh priamo v dĺžke 145 m a pod.). Nevyhnutné by bolo presunutie autobusovej zastávky smerom na Krškany a zníženie počtu jazdných pruhov v priamom smere by sa muselo končiť za križovatkou v smere na Nové Zámky ( zriadenie druhého pruhu priamo s dĺžkou 170 m ). Vzhľadom na rozsah týchto zmien sa ich realizácia odsunula.
Realizácia prepojenia komunikácií Novozámocká - Dlhá, na pomery Nitry veľkorysého projektu, je otázna. Podľa dostupných informácii, by sa mal realizovať formou verejno-súkromného partnerstva Mesta a súkromnej spoločnosti. Horúcim favoritom na realizáciu je spoločnosť Eurovia a.s., ktorá stavala rýchlostnú cestu.
Fotogaléria
https://www.nitralive.sk/doprava/1428-krizovatka-novozamocka-priemyselna-riesenie-dopravy#sigProId13535102b7
Mapa
Zdroj: autor Andrej Sitkey pre Nitralive.sk, foto Nitralive.sk












